- Clínico
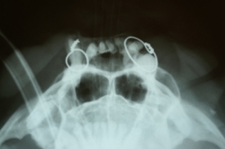
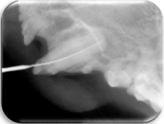
- Radiográfico (analógico y digital)
Tipos de diagnóstico
Diagnóstico Clínico
El diagnóstico clínico oral es de suma importancia ya que el plan de tratamiento y el pronóstico dependen de un certero y profundo análisis de los signos de la cavidad oral. Nuestra principal preocupación es atender los problemas que se encuentran en cavidad oral pero además siempre realizamos un detallado análisis de la función general del paciente. En nuestro centro revisamos de manera general a la mascota detectando cualquier problema sistémico. Contamos con un laboratorio de análisis clínicos en donde se realizan biometría hemática, química sanguínea, examen general de orina y pruebas para detección de enfermedades virales y de otros microorganismos. Contamos también con un laboratorio de histopatología en donde se revisa el material biológico para la detección y el diagnóstico de cambios morfológicos y lesiones en los tejidos. En lo que respecta al diagnóstico de la boca, contamos con un expediente donde se vacía toda la información dental y bucal de tal manera que mantenemos el control del tratamiento odontológico desde el inicio hasta el final y en donde el propietario o el médico que nos recomienda puede revisar en detalle toda la información recabada. Contamos con todo el instrumental y el equipo necesario para el diagnóstico de el aparato estomatognático (cavidad oral con dientes, tejidos de sostén y tejidos blandos, además de las estructuras relacionadas como articulación temporomandibular, cavidad nasal, cavidad orbitaria, etc.). Contamos con luz similar a la ultravioleta para diagnóstico de lesiones dentales por transluminación, pulpómetro para diagnóstico de vitalidad pulpar, localizador de ápices para tratamiento de conductos y equipo radiográfico tanto analógico como digital.
PERIODONTOGRAMA Y ODONTOGRAMA






